2 min. čitanja

Japan poziva stanovništvo na evakuaciju zbog približavanja supertajfuna

Japan poziva stanovništvo na evakuaciju zbog približavanja supertajfuna
Foto: Twitter

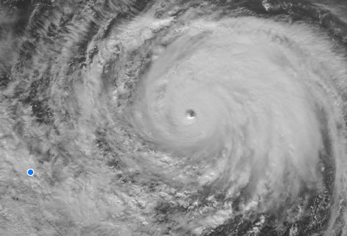
Japanska meteorološka agencija pozvala je u subotu na evakuaciju stanovnike koji žive u dijelovima južnoga otoka Kyushua uoči dolaska snažnog tajfuna koji bi, kad u nedjelju zahvati to područje, mogao donijeti toliko kiše da će visina vode dosezati i do pola metra.

Tajfun Nanmadol, koji je Zajednički centar američke mornarice za upozorenje na opasne tajfune klasificirao kao supertajfun, mogao bi postati najrazornija tropska oluja koja je pogodila Japan u posljednjih nekoliko desetljeća.

Japanska meteorološka agencija objavila je da bi već u subotu navečer mogla izdati "posebno upozorenje" za prefekturu Kagoshima i ostale dijelove Kyushua, najjužnijega glavnog japanskog otoka.

U objavi stoji da u regijama postoji mogućnost visokih valova i vrlo obilnih kiša. Domaći mediji izvještavaju da bi to bilo prvo takvo upozorenje za bilo koju prefekturu sjeverno od lanca otoka Okinawe.

Dužnosnik Japanske meteorološke agencije Ryuta Kurora je, na konferenciji za novinare koju je prenosila televizija, upozorio da bi to područje mogle pogoditi "dosad nezabilježene" oluje i oborine te je stanovništvo pozvao na evakuaciju prije mraka.

U nedjelju bi u dijelovima južnog Kyushua moglo pasti i do 500 milimetara kiše, a u središnjoj regiji Tokai oko 300 milimetara, prognozirala je agencija.

Željeznička tvrtka Kyushu Railway Co. već u subotu je počela ukidati neke željezničke linije prije veće obustave koja će vjerojatno uslijediti u nedjelju. Domaći mediji pišu da su u južnoj japanskoj regiji zasad otkazani deseci vikend letova.

Nanmadol je četrnaesti ovosezonski tajfun. U subotu poslijepodne kretao se blizu južnoga japanskog otoka Minami-Daitoa nastavljajući prema sjeverozapadu brzinom od 20 km na sat.

Vjetar u središtu oluje puše brzinom od 198 km na sat s udarima do 270 km/h, podaci su koje je objavio JMA.

Predviđa se da bi oluja, po snazi jednaka uraganu klase 5 u Atlantskom oceanu, trebala skrenuti prema istoku i u utorak prijeći preko Tokija prije nego što se u srijedu premjesti na područje oceana, prenosi HRT.

Hina

Pritisnite ESC za zatvaranje.

© 2026 Morski HR. Powered by Ghost & Staticweb.dev

You've successfully subscribed to Morski HR
Great! Next, complete checkout for full access to Morski HR
Welcome back! You've successfully signed in
Success! Your account is fully activated, you now have access to all content.
Success! Your billing info is updated.
Billing info update failed.
Your link has expired.