Filipinske vlasti započele su evakuaciju ljudi iz obalnih područja dok se glavni otok Luzon, uključujući Manilu, sprema za tajfun kategorije 3 koji nastavlja jačati, rekli su dužnosnici.
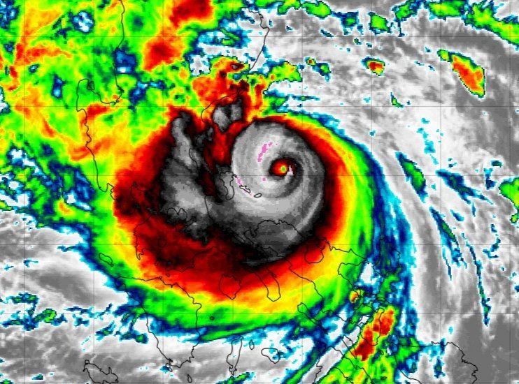
Tajfun Noru postao je supertajfun "nakon razdoblja eksplozivnog jačanja", s kontinuiranim vjetrovima koji su se u subotu navečer povećali na 185 km na sat sa 120 km/h, objavila je agencija za katastrofe u upozorenju. Nastavit će se pojačavati i mogao bi doći do kopna u nedjelju poslijepodne ili navečer sa 185 do 205 km/h trajnih vjetrova, rečeno je.
Nicht nur im #Atlantik brodelt es, auch im #Pazifik hat sich mit #Noru ein neuer #Supertaifun gebildet. Aktuell weist der Tropensturm Windspitzen von rund 300 km/h in seinem Kern auf. Unter Abschwächung wird er heute knapp nördlich von #Manila über die #Philippinen ziehen. (me) pic.twitter.com/sG3BQf3O4D
— MeteoNews Schweiz (@MeteoNewsAG) September 25, 2022
- Tražila sam od naših gradonačelnika da se pridržavaju strogih preventivnih evakuacija - rekla je Helen Tan, guvernerica pokrajine Quezon, za lokalnu radiopostaju.
Ribarima u obalnim zajednicama zabranjeno je da idu na more, rekla je.
Noru, 11. tropska ciklona koja je ove godine pogodila Filipine, donijet će obilne do olujne kiše u glavnom gradu i obližnjim provincijama u nedjelju poslijepodne.
Sonntag (25.09.2022) trifft Supertaifun NORU die Philippinen, Mittelwind bis 260 km/h, Böen bis über 300 km/h und zieht danach in Richtung Vietnam. In beiden Ländern droht eine Katastrophe durch Sturm, Starkregen, Sturmflut.https://t.co/5TwPqeO51y#Noru #Philippinen #Vietnam pic.twitter.com/KCuXNkjSDZ
— Thomas Sävert (@Tornadoliste) September 25, 2022
- Nadajmo se da se ovaj tajfun kreće brzo, iako donosi jake vjetrove - rekao je glasnogovornik agencije za katastrofe Bernardo Rafaelito Alejandro.
Vlasti su u pripravnosti zbog klizišta, poplava i razornih vjetrova, dodao je.
Filipinska obalna straža priopćila je da je više od 1200 putnika i 28 plovila zaglavljeno u lukama južno od glavnog grada. Noru se kretao prema zapadu i vjerojatno će izroniti iznad Južnog kineskog mora do nedjelje navečer ili ponedjeljka ujutro.
Filipine, arhipelag od više od 7600 otoka, godišnje zahvati prosječno 20 tropskih oluja, prenosi HRT.
I.G.
© 2026 Morski HR. Powered by Ghost & Staticweb.dev